Local Service Overview

Get Ant Control Service in Sunnyvale, TX

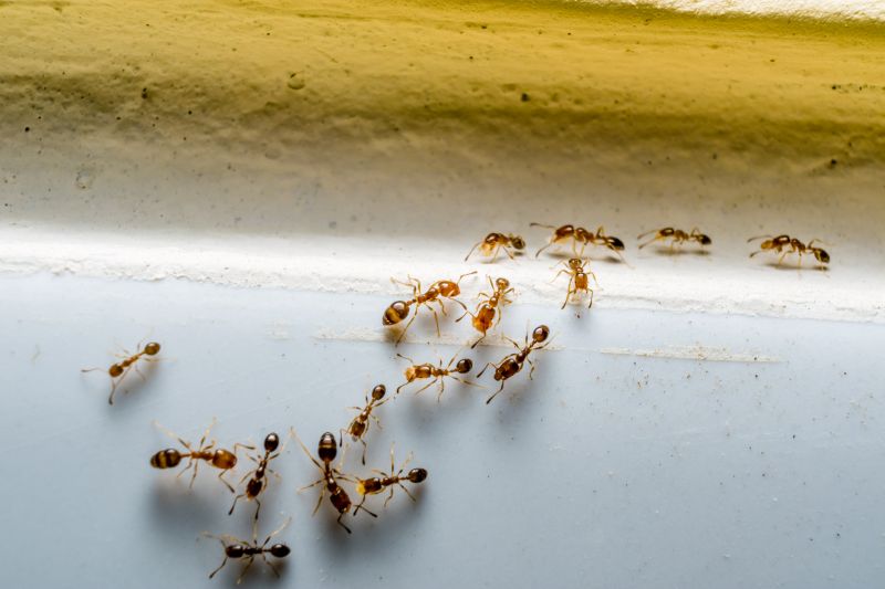
Ant control services for property owners in Sunnyvale, TX, and nearby areas address ant infestations, prevent future invasions, and handle residential and commercial ant removal projects.

Sunnyvale, TX

Ant control services are essential for property owners in Sunnyvale, TX seeking to maintain a comfortable and safe living environment. By effectively managing ant populations, these services help prevent infestations that can disrupt daily activities and compromise the safety of residents. Additionally, controlling ants contributes to the overall functionality of outdoor and indoor spaces, ensuring that homes and properties remain inviting and free from unwanted pests that can damage structures or contaminate food supplies.

Engaging professional ant control services also offers benefits related to durability and reduced maintenance. Proper pest management can prolong the lifespan of property features by preventing damage caused by ant activity. Furthermore, a well-maintained property with effective pest control typically enhances curb appeal, making it more attractive and welcoming. These services provide peace of mind by addressing pest issues proactively, helping property owners in Sunnyvale maintain a secure, functional, and visually appealing environment.

Get Ant Control Service Quotes

  • Ant Control Services - Ant control services are needed when homeowners notice ant trails or nests around their property.
  • Ant Control Services - These services are useful for preventing ant infestations in residential or commercial spaces in nearby areas.
  • Ant Control Services - Professional ant removal is often required after an ant colony has become difficult to manage with DIY methods.
  • Ant Control Services - Ant control services can help when ants are invading kitchens, bathrooms, or other indoor spaces.
  • Ant Control Services - Regular treatments may be sought to maintain a pest-free environment in homes and businesses in the local region.

Get Ant Control Service Quotes

Ant Control Service
Ant Control Service
Ant Control Service

Ant control services involve identifying and eliminating ant infestations within residential, commercial, or industrial properties. The process typically includes inspecting the affected areas to determine the ant species and entry points, followed by targeted treatment methods to remove the pests. These services often utilize baiting systems, residual insecticides, and barrier treatments to ensure comprehensive control. The goal is to reduce or eliminate ant populations, preventing further intrusion and damage.

Ant problems can cause significant inconveniences and property issues, particularly when colonies establish themselves indoors or around foundations. Common signs of an infestation include visible ants, trails leading to entry points, and the presence of nests in walls, under floors, or in outdoor landscaping. Left untreated, ants can multiply rapidly, leading to increased nuisance, contamination of food supplies, and potential structural damage. Professional ant control services help address these issues efficiently and effectively.

Properties that typically utilize ant control services range from single-family homes to larger commercial buildings. Residential properties often seek treatment to safeguard kitchens, pantries, and outdoor living areas from ant invasions. Commercial establishments such as restaurants, grocery stores, and office buildings also rely on these services to maintain sanitary conditions and prevent pest-related disruptions. Additionally, property managers and landlords may arrange regular treatments to manage ant populations across multiple units or common areas.

Professional ant control services are essential for those experiencing persistent or severe ant issues. Service providers tailor their approaches based on the specific property type, ant species, and infestation severity. By working with local pest control experts, property owners and managers can ensure that infestations are addressed promptly and thoroughly, helping to maintain a pest-free environment and protect the integrity of their property.

The overview below groups typical Ant Control Service projects into broad ranges so you can see how smaller, mid-sized, and larger jobs often compare in Sunnyvale, TX.

In many markets, a large share of routine jobs stays in the lower and middle ranges, while only a smaller percentage of projects moves into the highest bands when the work is more complex or site conditions are harder than average.

Cost Range - Ant control services typically cost between $150 and $400 for a one-time treatment, depending on the size of the property and severity of infestation. Larger properties or severe cases may incur higher costs. These ranges are approximate and vary by provider.

Service Fees - Many providers charge a service fee ranging from $50 to $150 per visit. Multiple visits might be necessary for complete control, which can increase the overall cost. Actual fees depend on the scope of work and local rates.

Treatment Expenses - The cost of ant bait or insecticide products used in treatments generally falls between $20 and $60 per application. The total treatment expense depends on the number of applications needed for effective control.

Inspection Costs - Some service providers include inspection fees ranging from $75 to $200, which may be credited toward the overall treatment cost. Inspection costs vary based on property size and complexity of the ant problem.

Actual totals will depend on details like access to the work area, the scope of the project, and the materials selected, so use these as general starting points rather than exact figures.

Get an Ant Control Service Quote

Ant Control Solutions - Local pest control providers offer specialized services to identify and eliminate ant infestations in residential and commercial properties.

Indoor Ant Management - Service providers can implement targeted treatments to address ant activity inside homes, ensuring effective and safe removal.

Outdoor Ant Barrier Treatments - Pros can apply treatments around the perimeter of properties to create a barrier that prevents ants from entering indoor spaces.

Ant Nest Removal - Local experts can locate and remove ant nests to reduce ongoing infestations and prevent future problems.

Preventive Ant Control - Service providers can advise on and implement measures to minimize the risk of ant invasions in the future.

Eco-Friendly Ant Treatments - Providers may offer environmentally conscious options for ant control that are safe for families and pets.

Ant Control Service

When selecting a professional for ant control services, it’s important to consider their experience in handling similar pest issues. Homeowners should look for service providers who have a proven track record in effectively managing ant infestations, as well as a clear understanding of local ant species and behaviors. An experienced contractor can often identify the root causes of the problem and recommend appropriate treatment methods, leading to more reliable results.

Clear communication is essential when working with a pest control provider. Homeowners should seek out professionals who set written expectations upfront, including details about the scope of work, treatment procedures, and any follow-up services. Transparent communication helps ensure that both parties are aligned on the process and can address any questions or concerns throughout the service. Reputable providers often emphasize open dialogue to foster trust and clarity.

Reputation and references are key indicators of a local pest control contractor’s reliability. Homeowners are encouraged to review references or testimonials from previous clients, which can provide insights into the quality of service and customer satisfaction. Additionally, reputable service providers typically maintain a professional approach, including prompt responses and clear communication channels. It’s important to remember that this platform introduces local options and is not the contractor; users should evaluate each professional’s credentials and reputation directly.

Get an Ant Control Service Quote

Property owners in Sunnyvale, TX use Ant Control Service services for practical projects around their homes and businesses. The sections below highlight everyday jobs and straightforward project options.

Ant Control Service
Ant Control Service

Ant control services are often sought by property owners in Sunnyvale, TX, dealing with persistent ant invasions that threaten the comfort and cleanliness of their homes or businesses. Common situations include discovering large ant colonies in kitchens, garages, or outdoor areas, especially during warmer months when ants become more active. Property owners may look for professional assistance to identify the source of the infestation, eliminate existing colonies, and implement measures to prevent future issues.

Additionally, those experiencing recurring ant problems or noticing ant trails across their property might turn to local service providers for effective solutions. Ant control services can help address issues caused by different ant species, such as sugar ants or fire ants, which can pose health or safety concerns. Engaging with experienced professionals ensures that ant issues are managed efficiently, reducing the likelihood of further invasions and protecting the property's interior and exterior spaces.

Get an Ant Control Service Quote

How do ant control services work? Ant control services typically involve inspecting the property to identify ant colonies and entry points, followed by targeted treatments such as baiting or applying insecticides to eliminate the ants and prevent future infestations.

Are ant control treatments safe for pets and children? Most ant control treatments used by professionals are designed to be safe when applied properly, but it is advisable to discuss any concerns with the service provider before treatment.

How long does an ant control treatment last? The duration of effectiveness varies depending on the treatment method and extent of the infestation, with many services providing ongoing monitoring or follow-up options.

Can ants return after treatment? While professional treatments significantly reduce the likelihood of ants returning, ongoing prevention measures may be recommended by local service providers to maintain control.

What should I do before a pest control service appointment? It is generally recommended to clear the area around ant entry points and follow any specific instructions provided by the service provider to ensure effective treatment.

Ant Identification and Inspection - Local pest control professionals can identify ant species and assess the extent of the infestation to determine effective treatment strategies.

Customized Ant Treatment Plans - Service providers offer tailored solutions to eliminate ants and prevent future invasions based on specific property needs.

Barrier and Baiting Solutions - Experts utilize targeted baiting and barrier methods to control ant populations around residential and commercial properties.

Ongoing Monitoring and Prevention - Professionals can establish ongoing monitoring programs to detect early signs of ant activity and implement preventative measures.

Ant Control Service

Considering Ant Control Service for a property in Sunnyvale, TX? The sections above highlight common project types, practical options, and details that often shape the scope of work.

When you are ready, use the quote form to share a few details about your project. Local pros can review the basics and respond with options that match what you have in mind.

Get an Ant Control Service Quote

Ant Control Quotes

Our Trusted Partners
Cantu Pest Control
Orkin
Hawx Pest Control