Local Service Overview

Get Ants Extermination Service in Allen, TX

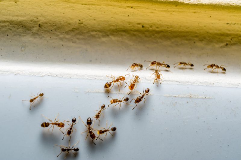
Ants extermination services for property owners in Allen, TX, and nearby areas address ant infestations, prevent future invasions, and handle residential and commercial pest control projects.

Allen, TX

Ants extermination services in Allen, TX, are essential for property owners seeking to maintain a comfortable and functional living or working environment. Ant infestations can compromise the usability of outdoor and indoor spaces, leading to potential disruptions and concerns about cleanliness. Professional extermination helps to create a safer, more enjoyable space by effectively removing these pests, reducing the risk of future invasions, and minimizing the need for ongoing maintenance.

Choosing expert ant extermination also offers benefits related to the durability and curb appeal of a property. A pest-free environment helps preserve the integrity of structures and landscaping, preventing damage caused by persistent ant activity. Additionally, a well-maintained exterior free of pests enhances the overall appearance of the property, contributing to a more inviting and aesthetically pleasing setting.

Get Ants Extermination Service Quotes

  • Ants Extermination - When homeowners notice ant trails or nests inside their residence, professional extermination services can help eliminate the infestation.
  • Ants Extermination - Businesses experiencing ant problems in commercial spaces may seek expert treatments to prevent further pest issues.
  • Ants Extermination - During seasonal ant invasions, residents in areas like Allen, TX, and surrounding communities often require professional pest control assistance.
  • Ants Extermination - If ants are found around outdoor structures such as decks or gardens, local pros can provide targeted solutions to prevent indoor entry.
  • Ants Extermination - When dealing with persistent ant colonies that resist over-the-counter remedies, contacting a pest control specialist is advised.

Get Ants Extermination Service Quotes

Ants Extermination Service
Ants Extermination Service
Ants Extermination Service

Ants extermination services involve identifying and eliminating ant infestations within residential, commercial, or industrial properties. Professionals typically conduct thorough inspections to locate ant colonies and determine the species involved, which can influence the most effective treatment methods. Treatment options often include targeted baiting, chemical applications, or barrier treatments designed to eradicate existing colonies and prevent future invasions. The goal is to remove ants safely and efficiently, reducing the likelihood of recurring problems and minimizing disruption to the property.

Ant infestations can cause a variety of issues for property owners. Beyond the nuisance of swarming ants in kitchens, bathrooms, or other indoor spaces, some species may cause structural damage by tunneling into wood or insulation. Additionally, ants can contaminate food supplies and surfaces, creating hygiene concerns in homes and food establishments. In commercial settings, ant problems can also impact customer perceptions and compliance with health standards. Addressing these issues promptly with professional extermination services helps restore comfort, cleanliness, and safety within the property.

Various types of properties typically utilize ants extermination services. Residential homes are common sites, especially in areas where ant activity is prevalent during warmer months. Apartment complexes and condominiums may also require regular pest management to prevent infestations from spreading across units. Commercial properties, such as restaurants, grocery stores, and warehouses, often seek professional assistance to maintain sanitary conditions and comply with health regulations. Additionally, industrial facilities with storage areas or manufacturing spaces may need targeted treatments to safeguard their operations from ant-related disruptions.

Engaging with local pest control providers for ants extermination services offers property owners access to specialized treatments tailored to their specific needs. These professionals utilize proven methods to effectively eliminate ant colonies and implement preventive measures. Whether addressing a current infestation or seeking ongoing pest management, property owners can find experienced service providers equipped to handle a variety of property types. Connecting with local pros ensures that ant problems are managed efficiently, helping maintain a pest-free environment.

The overview below groups typical Ants Extermination Service projects into broad ranges so you can see how smaller, mid-sized, and larger jobs often compare in Allen, TX.

In many markets, a large share of routine jobs stays in the lower and middle ranges, while only a smaller percentage of projects moves into the highest bands when the work is more complex or site conditions are harder than average.

Initial Inspection - The cost for an ant extermination inspection typically ranges from $50 to $150. This fee covers identifying the ant species and assessing the extent of the infestation.

Basic Treatment - A standard ant treatment service usually costs between $100 and $300. The price varies based on the size of the affected area and the severity of the infestation.

Full Property Treatment - For comprehensive coverage of an entire property, costs generally fall between $200 and $500. Larger properties or severe infestations may increase the price accordingly.

Recurring Service - Ongoing ant control plans can range from $30 to $70 per month. These plans often include regular treatments to prevent future ant problems.

Actual totals will depend on details like access to the work area, the scope of the project, and the materials selected, so use these as general starting points rather than exact figures.

Get an Ants Extermination Service Quote

Ants Extermination services connect homeowners with local pest control professionals who specialize in identifying and eliminating ant infestations. These experts use targeted treatments to address both indoor and outdoor ant problems effectively.

Residential Ant Control involves working with local service providers to protect homes from ant invasions, focusing on safe and efficient removal methods tailored to household environments.

Commercial Ant Extermination services link businesses with professionals experienced in managing ant issues in commercial spaces, helping to maintain a pest-free environment for employees and customers.

Eco-friendly Ant Removal options are available through local providers who utilize environmentally conscious methods to control ant populations without harmful chemicals.

Preventative Ant Treatments are offered by local pest control experts to help reduce the risk of future ant infestations through strategic barrier applications and property inspections.

Emergency Ant Pest Services connect clients with providers capable of addressing urgent ant problems promptly, minimizing the impact of unexpected invasions.

Ants Extermination Service

When selecting professionals for ant extermination services, experience is an important factor to consider. Local pros with a proven track record in pest control often have extensive knowledge of ant behaviors and effective treatment methods specific to the area. Reviewing their backgrounds can provide insight into their familiarity with common ant issues in communities like Allen, TX, and nearby locations. It’s beneficial to seek out service providers who have demonstrated consistent, reliable service over time, ensuring they understand the nuances of local pest challenges.

Clear communication and well-defined expectations are essential when working with ant extermination specialists. Reputable providers typically outline their treatment approaches, coverage, and any necessary preparations upfront. This helps establish a mutual understanding of the scope of work and what homeowners can expect during and after the service. Transparent communication fosters trust and ensures that homeowners are informed about the process, potential outcomes, and any follow-up requirements.

References and reputation are valuable indicators of a local provider’s reliability. Reputable service providers often have references or reviews from previous clients that can be verified through trusted sources. These references can offer insights into the quality of service, professionalism, and responsiveness of the pros. When evaluating options, it’s helpful to consider how well the service providers communicate, their professionalism, and their ability to meet the specific needs of homeowners seeking ant extermination services in the local area.

Get an Ants Extermination Service Quote

Property owners in Allen, TX use Ants Extermination Service services for practical projects around their homes and businesses. The sections below highlight everyday jobs and straightforward project options.

Ants Extermination Service
Ants Extermination Service

Ants extermination services are commonly sought by property owners in Allen, TX, when encountering ant infestations that disrupt daily living or compromise cleanliness. Common situations include noticing ant trails around kitchens, bathrooms, or outdoor areas, which can indicate a growing colony nearby. Property owners may also seek professional assistance to prevent ants from entering homes or to address recurring issues that persist despite DIY efforts.

In addition, residents and business owners might look for ant extermination when preparing for special events or renovations, aiming to eliminate pests that could interfere with activities or compromise hygiene. Clear signs of ant activity, such as visible nests or increased sightings, often prompt property owners to contact local service providers for effective solutions to restore comfort and maintain property standards.

Get an Ants Extermination Service Quote

How do ant extermination services work? Ant extermination services typically involve inspecting the affected areas, identifying ant species and entry points, and applying targeted treatments to eliminate colonies and prevent future infestations.

Are the treatments safe for pets and children? Many ant extermination methods are designed to be safe for households with pets and children, but it is recommended to discuss safety concerns with the local service provider.

How long does an ant extermination treatment take? The duration of treatment can vary depending on the extent of the infestation and the methods used, but most services aim to complete the process efficiently to minimize disruption.

Will I need multiple visits for complete ant removal? Some ant infestations may require more than one treatment session to fully eradicate colonies and ensure long-term control.

How can I prevent future ant problems? Local pros often recommend sealing entry points, maintaining cleanliness, and removing food sources to help prevent future ant issues after treatment.

Ants Extermination Solutions - Local pest control providers offer targeted treatments to eliminate ant infestations effectively.

Inspection and Identification - Professionals can assess the extent of ant activity and identify species to determine the most appropriate extermination methods.

Preventive Treatments - Service providers can implement barrier treatments and advice on reducing attractants to prevent future ant problems.

Ongoing Monitoring - Experts can establish monitoring plans to ensure ant activity remains under control over time.

Ants Extermination Service

Considering Ants Extermination Service for a property in Allen, TX? The sections above highlight common project types, practical options, and details that often shape the scope of work.

When you are ready, use the quote form to share a few details about your project. Local pros can review the basics and respond with options that match what you have in mind.

Get an Ants Extermination Service Quote

Ants Extermination Quotes

Our Trusted Partners
Cantu Pest Control
Orkin
Hawx Pest Control