Local Service Overview

Get Black Ant Extermination in Coppell, TX

Coppell, TX

Black ant extermination services are a practical solution for property owners in Coppell, TX who want to maintain a comfortable and safe living environment. These services help eliminate persistent ant infestations that can disrupt daily routines and compromise the usability of indoor and outdoor spaces. By addressing these pests promptly, property owners can enjoy a more functional home or business, free from the nuisance and potential damage caused by ant colonies.

Choosing professional extermination services also offers benefits related to durability and reduced maintenance. Effective pest control can prevent future ant invasions, helping to preserve the integrity of structures and landscaping. Additionally, a pest-free property enhances curb appeal, making it more inviting and well-maintained. Engaging experienced local providers ensures that the work is tailored to the specific needs of Coppell residents, supporting long-term comfort and property value.

Get Black Ant Extermination Quotes

  • Black Ant Extermination - needed when black ants invade kitchens, bathrooms, or outdoor spaces in residential or commercial properties.
  • Black Ant Extermination - required if black ant colonies are discovered around the foundation or landscaping of homes in the area.
  • Black Ant Extermination - necessary when black ant infestations persist despite basic cleaning and pest control efforts.
  • Black Ant Extermination - sought after when black ants pose a threat to plants or outdoor furniture in yards and gardens.
  • Black Ant Extermination - essential for property owners experiencing recurring black ant activity in multi-unit complexes or office buildings.

Get Black Ant Extermination Quotes

Black Ant Extermination
Black Ant Extermination
Black Ant Extermination

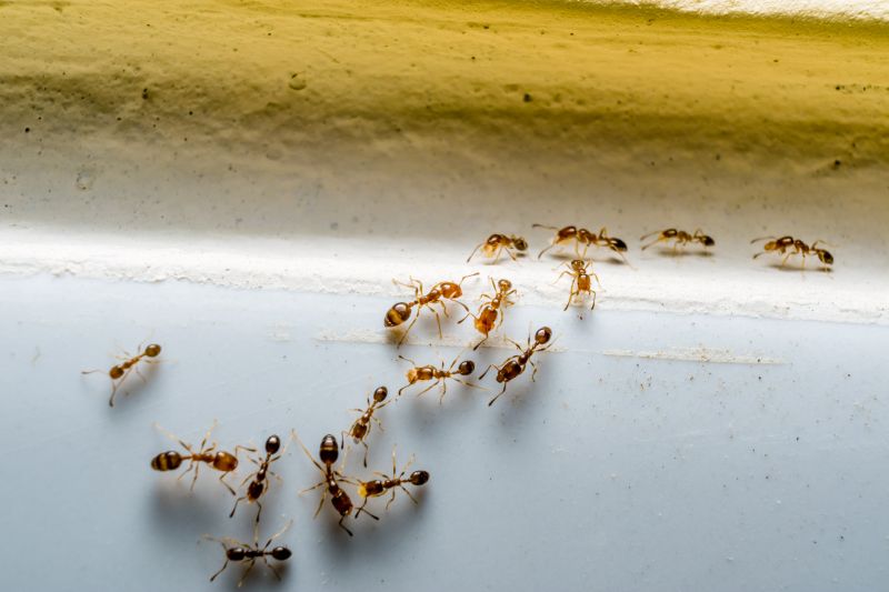
Black ant extermination services focus on eliminating infestations of black ants from residential and commercial properties. These services typically involve thorough inspections to identify the extent of the ant problem and the specific areas where black ants are active. Treatment methods may include targeted application of insecticides, baiting systems, and barrier treatments designed to eradicate the colony and prevent future invasions. Professional exterminators use proven techniques and products to ensure effective results while minimizing disruption to the property.

Black ant problems often lead to nuisance issues and potential property damage. While black ants are primarily a nuisance pest, their presence can indicate underlying issues such as food source availability or moisture problems. In some cases, black ants may invade kitchens, pantries, or other areas where food is stored, contaminating surfaces and creating an unsanitary environment. Additionally, large colonies can attract other pests or create structural concerns if they establish nests within walls or foundations.

Properties that typically utilize black ant extermination services include single-family homes, apartment complexes, restaurants, and retail businesses. Residential properties often seek treatment to protect food storage areas and maintain a clean living environment. Commercial properties, especially those involved in food handling or hospitality, require regular pest control to meet health standards and prevent infestations that could impact their operations. In general, any property experiencing persistent black ant activity can benefit from professional pest management solutions.

Partnering with local pest control providers ensures that property owners and managers receive targeted, effective black ant extermination services. These professionals assess the unique conditions of each property, develop tailored treatment plans, and implement solutions to eliminate black ant colonies. Regular inspections and follow-up treatments may be recommended to maintain a pest-free environment. Contacting local pros can help address black ant issues promptly and efficiently, supporting a clean and pest-free property.

The overview below groups typical Black Ant Extermination projects into broad ranges so you can see how smaller, mid-sized, and larger jobs often compare in Coppell, TX.

In many markets, a large share of routine jobs stays in the lower and middle ranges, while only a smaller percentage of projects moves into the highest bands when the work is more complex or site conditions are harder than average.

Initial Inspection and Treatment Costs - The cost for an initial black ant inspection and treatment typically ranges from $100 to $300, depending on the size of the property and severity of the infestation. For example, a standard residential inspection in Coppell, TX, might be around $150. Additional treatments may incur extra charges.

Per-Visit Treatment Fees - One-time treatment visits generally cost between $80 and $200 per session. The price varies based on the extent of the ant problem and the treatment method used by local service providers.

Ongoing Pest Management Plans - Monthly or quarterly pest control plans for black ant management can range from $40 to $70 per visit. These plans often include regular inspections and treatments to prevent re-infestation.

Additional Service Charges - Some providers may charge extra for specialized treatments or for service in hard-to-reach areas, with additional fees typically between $50 and $150. Costs can vary based on property size and specific infestation challenges.

Actual totals will depend on details like access to the work area, the scope of the project, and the materials selected, so use these as general starting points rather than exact figures.

Get a Black Ant Extermination Quote

Black Ant Extermination services involve targeted removal techniques to eliminate black ant colonies from residential and commercial properties in Coppell, TX. Local pest control providers can assess infested areas and implement effective treatment plans.

Black Ant Nuisance Control focuses on reducing black ant populations that invade homes and businesses, helping to prevent damage and contamination. Service providers offer ongoing monitoring and prevention strategies.

Black Ant Infestation Removal addresses severe infestations by identifying entry points and nesting sites, then applying appropriate extermination methods. Local experts can customize approaches based on the extent of the problem.

Black Ant Barrier Treatments create protective zones around structures to prevent black ant entry, offering a proactive solution to ongoing ant issues. Professionals apply treatments that target common ant pathways.

Black Ant Colony Elimination involves locating and destroying ant colonies at their source to ensure long-term control. Experienced service providers use specialized techniques to eradicate nests effectively.

Black Ant Prevention Services help maintain pest-free environments through inspection, sealing entry points, and applying preventive treatments. Local pros can develop customized plans to minimize future ant problems.

Black Ant Extermination

When evaluating local pros for black ant extermination services, it is important to consider their experience in handling ant infestations similar to those in Coppell, TX and surrounding communities. Pros with a proven track record often demonstrate familiarity with effective treatment methods and common challenges faced in the area. Reputable service providers typically have a history of successfully managing ant problems, which can be verified through references or prior customer interactions. Establishing clear written expectations regarding the scope of work, treatment procedures, and potential follow-up measures can help ensure transparency and alignment between the homeowner and the service provider.

Communication plays a vital role in selecting a reliable local extermination professional. Pros who prioritize clear, prompt, and detailed communication can help homeowners understand the process, address questions, and set realistic expectations. It is beneficial to seek out providers who are willing to discuss their approach openly and provide written information about their services. Good communication fosters trust and ensures that homeowners feel informed and comfortable throughout the process, reducing potential misunderstandings or surprises.

Since this platform connects homeowners with local service providers and does not perform the work directly, it is essential to review the credentials and reputation of each local exterminator or pest control company. Reputable references, whether through online reviews or direct recommendations, can offer insight into the quality of service and professionalism. Homeowners are encouraged to inquire about the experience of the pros, their approach to black ant extermination, and how they handle ongoing communication. Making an informed choice based on these factors can lead to a more satisfactory pest management experience.

Get a Black Ant Extermination Quote

Property owners in Coppell, TX use Black Ant Extermination services for practical projects around their homes and businesses. The sections below highlight everyday jobs and straightforward project options.

Black Ant Extermination
Black Ant Extermination

Black ant extermination services are often sought by property owners in Coppell, TX, when they notice persistent ant activity around their homes or businesses. Common reasons include the presence of visible ant trails, nests found in walls or gardens, or an increase in ant sightings that disrupt daily routines. Property owners may also look for professional assistance when over-the-counter treatments fail to eliminate the problem or when they want to ensure a thorough and lasting solution.

In addition to visible infestations, property owners might consider ant extermination services to prevent potential damage or contamination, especially in food storage or preparation areas. Ant activity can sometimes indicate underlying issues with moisture or structural entry points that need addressing. Local pest control providers can assess the situation and recommend targeted treatments to help maintain a pest-free environment in residential and commercial properties alike.

Get a Black Ant Extermination Quote

Why do black ants invade homes? Black ants are attracted to food sources and moisture, leading them to seek shelter indoors, especially in kitchens and bathrooms.

What are common signs of a black ant infestation? Signs include visible ant trails, small piles of dirt or debris near entry points, and finding ants in kitchens or pantries.

Are black ant extermination services safe for pets and children? Most professional extermination services use methods that are safe when applied properly; it is recommended to discuss safety concerns with local providers.

How do exterminators typically eliminate black ants? They identify entry points and nesting areas, then apply targeted treatments such as baits or insecticides to eliminate colonies.

Can black ant infestations be prevented? Proper sanitation, sealing entry points, and removing attractants can help prevent future ant invasions; local pros can provide tailored advice.

Black Ant Identification - Learn how to recognize black ants and understand their behavior to assist local extermination professionals.

Effective Extermination Methods - Explore common techniques used by service providers to eliminate black ant infestations safely and efficiently.

Preventive Tips - Discover strategies to reduce the risk of future black ant problems and maintain a pest-free environment.

Choosing a Local Expert - Find guidance on selecting qualified service providers for black ant extermination in Coppell, TX and nearby areas.

Black Ant Extermination

Considering Black Ant Extermination for a property in Coppell, TX? The sections above highlight common project types, practical options, and details that often shape the scope of work.

When you are ready, use the quote form to share a few details about your project. Local pros can review the basics and respond with options that match what you have in mind.

Get a Black Ant Extermination Quote

Black Ant Extermination Quotes

Our Trusted Partners
Cantu Pest Control
Orkin
Hawx Pest Control