Signs You Have an Ant Problem Before It Gets Out of Control

Identifying early signs of an ant problem helps prevent a full infestation, and local service providers can effectively handle ant control before it gets out of control.

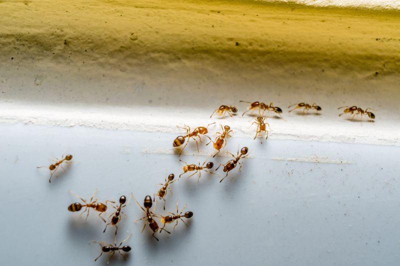
Recognizing early signs of an ant problem can save property owners from larger infestations and potential damage. Common indicators include small trails of ants around entry points, scattered crumbs or food residues, and unexplained piles of dirt or debris near walls and foundation cracks. Catching these signs early allows for prompt action, often preventing the need for extensive treatment later on. Local service providers specializing in ant control can assess the situation and implement effective solutions to keep these pests at bay, helping maintain a clean and pest-free environment.

Property owners in the area might explore this topic to protect their homes or businesses from the nuisance and potential health concerns associated with ant infestations. Whether it’s a residential property or a commercial space, early detection can be crucial in avoiding larger problems that can disrupt daily routines. Local contractors experienced in ant management are equipped to identify the subtle signs of an emerging issue and provide tailored strategies to eliminate ants before they become unmanageable. Continuing to read can help uncover practical tips on spotting these early warning signs and understanding how professional services can assist in keeping ant populations under control.

Get Quotes for Ant Control

  • Ant control treatment - needed when signs of ant activity are spotted indoors or outdoors, and local contractors can implement targeted solutions to eliminate the problem.
  • Ant barrier installation - recommended when ants are approaching the home, with service providers creating barriers to prevent further invasion.
  • Nest removal and extermination - necessary if ant colonies are identified nearby, with local pros carefully locating and removing nests to stop infestations.
  • Sanitation and property cleanup - advised when food sources or debris attract ants, with specialists helping to reduce attractants around the property.
  • Inspection and ongoing monitoring - useful when early signs of ant activity are present, with service providers monitoring to prevent a full-scale infestation.
Signs You Have An Ant Problem Before It Gets Out Of Control
Signs You Have An Ant Problem Before It Gets Out Of Control
Signs You Have An Ant Problem Before It Gets Out Of Control

Understanding the signs you have an ant problem before it gets out of control is essential for homeowners who want to prevent a full-blown infestation. When people search for this topic, they are often looking for practical indicators that ants have begun to invade their property, allowing them to address the issue early. Common signs include the appearance of small trails of ants along walls, countertops, or floors, especially near food sources or water supplies. Recognizing these early warning signals can help prevent the problem from escalating into a larger, more difficult-to-manage situation, making timely intervention a key part of effective pest control.

This topic relates closely to ongoing property management and pest prevention strategies. Ant problems can quickly become intertwined with plans to keep homes clean, prevent food contamination, and maintain overall hygiene. For many homeowners, the goal is to identify and eliminate the ants before they establish large colonies that threaten comfort and safety. Early signs might also include noticing discarded wings, which indicate recent ant activity, or finding small piles of dirt or debris near entry points. Addressing these issues early with the help of local ant control service providers can save time, effort, and potential damage caused by unchecked ant colonies.

The types of properties most affected by ant infestations tend to include residential homes, especially those with accessible entry points like cracks, gaps, or poorly sealed windows and doors. Properties with gardens, mulch beds, or wood piles nearby are also more susceptible, as these environments provide ideal nesting sites for ants. Commercial properties such as restaurants, cafes, or food storage facilities are at increased risk due to the presence of food and moisture sources that attract ants. Recognizing the signs of an early ant problem in these settings allows property owners to work with local contractors who specialize in pest management, helping to implement targeted treatments before the situation becomes unmanageable.

For homeowners and property managers, understanding the connection between early signs of ant activity and effective control measures is crucial. Local service providers who specialize in ant control can assess the property for entry points, nesting sites, and food sources, then recommend appropriate treatments to eliminate the problem. Detecting signs like trails, winged ants, or small piles of debris early on can make a significant difference in how easily and efficiently the issue is resolved. By staying alert to these indicators, property owners can take proactive steps to prevent ants from spreading further and causing more extensive issues, ensuring the property remains comfortable and pest-free.

Pest Inspection Services - Professionals skilled in identifying early signs of pest activity, including ant infestations, to prevent escalation.

Home Repair and Sealant Projects - These projects involve sealing entry points and cracks that ants use to access indoor spaces, aligning with early detection efforts.

Moisture Control Services - Addressing moisture issues that attract ants, similar to recognizing signs of an ant problem before it gets out of control.

Structural Damage Repair - Fixing damage caused by ants or preventing future issues by identifying potential entry points early on.

Rodent and Pest Barrier Installation - Installing barriers to block ant pathways, which complements efforts to address signs of an ant problem early.

Yard and Landscape Maintenance - Managing outdoor conditions that can harbor ant colonies, paralleling the importance of early signs detection.

Signs You Have An Ant Problem Before It Gets Out Of Control

When comparing local contractors for ant control services, it’s important to consider their experience with similar projects. Homeowners should inquire about how many times the service provider has handled ant infestations in residential settings and whether they have encountered situations similar to their own. An experienced contractor will have a better understanding of common ant behaviors, effective treatment methods, and the best practices for preventing future issues. This familiarity can help ensure that the chosen professional can efficiently identify signs you have an ant problem before it gets out of control and implement appropriate solutions.

Clear written expectations are essential when evaluating potential service providers. Homeowners should seek detailed descriptions of the scope of work, what treatments will be used, and what results to expect. Having this information in writing helps prevent misunderstandings and provides a basis for evaluating whether the contractor’s approach aligns with the homeowner’s concerns about signs you have an ant problem before it gets out of control. Additionally, understanding the process can help set realistic expectations about the timeline and any follow-up treatments that might be necessary to keep ant issues in check.

Reputable references and good communication are crucial factors in choosing a reliable service provider. Homeowners can ask for references from past clients who had similar ant problems and review their experiences. This feedback can reveal the contractor’s professionalism, responsiveness, and ability to resolve issues effectively. Good communication throughout the process ensures that homeowners stay informed about the treatment plan, progress, and any recommendations for preventing future ant problems. Selecting a contractor known for transparency and responsiveness can help ensure the job is handled thoroughly and that signs you have an ant problem are addressed before they escalate.

Get a Quote for Ant Control

Property owners often search for signs you have an ant problem before it gets out of control when they are planning practical projects around their homes and businesses. Local pros provide Ant Control services for everyday jobs and straightforward project options.

Signs You Have An Ant Problem Before It Gets Out Of Control
Signs You Have An Ant Problem Before It Gets Out Of Control

Recognizing early signs of an ant problem can help property owners address the issue before it becomes overwhelming. Common indicators include noticing small trails of ants along countertops, baseboards, or entry points around windows and doors. Additionally, finding tiny piles of dirt or discarded food crumbs near pantry areas or behind appliances may signal that ants are establishing a nest nearby. Addressing these signs promptly can prevent a minor nuisance from turning into a larger infestation, making it advisable to seek assistance from local contractors experienced in ant control solutions.

Many property owners in the area turn to local service providers when they observe signs of an ant problem that seems to be escalating. If ants are seen invading kitchens, bathrooms, or other indoor spaces, or if they appear in large numbers, it’s a clear indication that professional intervention may be needed. Local contractors who specialize in pest management can assess the situation, identify entry points, and implement targeted treatments to eliminate the colony. Acting early with the help of experienced service providers can keep ant issues under control and prevent potential property damage or ongoing disturbances.

Get a Quote for Ant Control

What early signs indicate an ant problem might be developing? Spotting small trails of ants near food sources, along walls, or around entry points can suggest an infestation is starting before it becomes unmanageable. Local contractors can assess these signs and recommend effective control measures.

How can I tell if ants are nesting inside my home? Signs include seeing ants in hidden areas like behind appliances, inside wall voids, or near moisture sources. Local service providers can identify nesting sites and help eliminate colonies early on.

Are there specific areas where ants tend to appear first? Ants often appear first near kitchens, bathrooms, or entry points such as doors and windows. Recognizing these spots can help homeowners seek professional assistance before the problem spreads.

What behavioral signs suggest an ant problem is becoming serious? An increase in ant activity, especially during different times of the day or finding large groups of ants indoors, indicates a growing colony. Local contractors can provide targeted treatments to prevent escalation.

How can I prevent an ant problem from getting out of control? Maintaining clean surfaces, sealing entry points, and addressing moisture issues are key. When signs emerge, consulting local pros can ensure early intervention and effective control solutions.

Unusual ant trails - noticing unexpected pathways around your home can indicate an emerging ant problem that local contractors can address with targeted treatments.

Small piles of dirt or debris - these signs near foundations or indoor areas may suggest nesting sites that local pros can locate and treat effectively.

Ants indoors during warm months - frequent sightings inside the house can signal a developing infestation that experienced service providers can help control.

Cracks and gaps in walls or floors - these openings can serve as entry points for ants, and local contractors can seal them to prevent further invasion.

Signs You Have An Ant Problem Before It Gets Out Of Control

If you are thinking about signs you have an ant problem before it gets out of control for a property, this guide is meant to help you understand this topic, the typical project types, and how different options might fit your plans.

When you are ready, you can use the quote form on this page to share a few details about your project. From there, local pros can review the basics and follow up with options that match what you have in mind.

Get a Quote for Ant Control

Ant Control Quotes

Our Trusted Partners
Cantu Pest Control
Orkin
Hawx Pest Control