Local Service Overview

Get Black Ant Extermination in Garland, TX

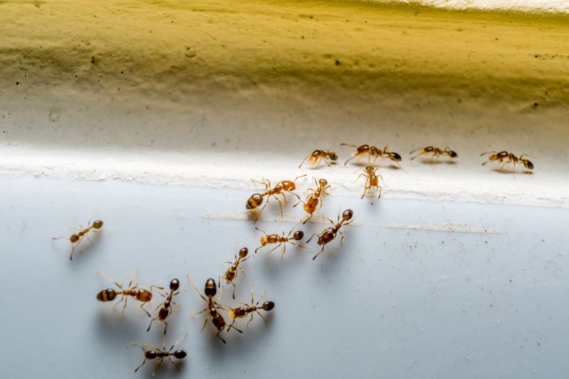
Black Ant Extermination services for property owners in Garland, TX and nearby areas address ant infestations, prevent future invasions, and treat affected structures.

Garland, TX

Black ant extermination services provide property owners in Garland, TX with an effective way to eliminate persistent ant infestations that can compromise comfort and safety. By addressing these pests promptly, residents can enjoy a more functional living or working environment, free from the disruptions caused by unwanted insects. Professional extermination helps reduce the need for ongoing maintenance, saving time and effort while ensuring that ant problems are thoroughly managed and less likely to recur.

Choosing professional ant extermination also enhances curb appeal by maintaining a clean and pest-free exterior. Property owners often seek solutions that deliver long-lasting results, contributing to a durable and attractive landscape. With expert services, residents can feel confident that their property’s safety and appearance are prioritized, supporting a comfortable and inviting atmosphere for family, guests, or clients.

Get Black Ant Extermination Quotes

  • Ant Extermination - needed when black ants invade kitchens and pantry areas in Garland, TX and surrounding communities.
  • Indoor Black Ant Removal - required when ants are found nesting inside walls or under flooring in nearby neighborhoods.
  • Outdoor Ant Control - sought when black ants establish colonies around yards or garden beds in the Garland area.
  • Persistent Black Ant Infestation - addressed when recurring ant problems occur despite previous treatment efforts in local homes.
  • Black Ant Prevention Services - useful for homeowners wanting to reduce the risk of future ant invasions in Garland and neighboring cities.

Get Black Ant Extermination Quotes

Black Ant Extermination
Black Ant Extermination
Black Ant Extermination

Black ant extermination services are designed to eliminate infestations of black ants from residential, commercial, and industrial properties. These services typically involve thorough inspections to identify the extent of the ant problem and pinpoint the nests or entry points. Treatment methods may include targeted application of insecticides, baiting systems, and barrier treatments to prevent future invasions. The goal is to reduce or eradicate black ant populations, helping property owners regain control over their spaces and prevent damage caused by persistent ant activity.

Black ant problems can lead to various nuisances and concerns for property owners. Although black ants are generally not harmful to humans, their presence can be bothersome and indicative of underlying issues such as food contamination or moisture problems. In some cases, black ants may invade kitchens, pantries, or storage areas, contaminating food supplies. Additionally, large ant colonies can cause structural damage over time, particularly if they establish nests within walls or foundations. Extermination services help address these issues by removing the ants and implementing measures to prevent future infestations.

The types of properties that commonly utilize black ant extermination services include single-family homes, apartment complexes, office buildings, restaurants, and retail spaces. Residential properties often seek help when ants invade kitchens or living areas, especially during warmer months when ant activity increases. Commercial properties, such as restaurants and food stores, require ongoing pest management to maintain sanitation standards and comply with health regulations. Industrial facilities may also need targeted treatments if black ants threaten stored goods or equipment. The versatility of these services makes them suitable for a wide range of property types facing ant-related challenges.

Professional black ant extermination services are tailored to address the specific needs of each property. Local pest control providers utilize a variety of techniques to effectively control and prevent ant populations. They assess the property’s layout, entry points, and potential nesting sites to develop a strategic treatment plan. Ongoing monitoring and follow-up treatments are often recommended to ensure the problem is fully resolved and to minimize the risk of future infestations. Contacting experienced local service providers can help property owners find effective solutions tailored to their particular situation.

The overview below groups typical Black Ant Extermination projects into broad ranges so you can see how smaller, mid-sized, and larger jobs often compare in Garland, TX.

In many markets, a large share of routine jobs stays in the lower and middle ranges, while only a smaller percentage of projects moves into the highest bands when the work is more complex or site conditions are harder than average.

Initial Inspection - The cost for a Black Ant extermination inspection typically ranges from $100 to $250. This fee covers a thorough assessment of the infested areas to determine the extent of the problem.

Basic Treatment - Standard treatment services usually cost between $150 and $350. The price varies depending on the size of the affected area and the severity of the infestation.

Comprehensive Pest Control - For extensive Black Ant control, prices can range from $300 to $600. This includes multiple treatment sessions and follow-up inspections to ensure complete eradication.

Follow-up Services - Follow-up visits after initial treatment generally cost around $100 to $200 each. These visits help maintain control and address any recurring ant activity.

Actual totals will depend on details like access to the work area, the scope of the project, and the materials selected, so use these as general starting points rather than exact figures.

Get a Black Ant Extermination Quote

Ant Extermination services involve professionals who identify and eliminate ant colonies, helping to prevent future infestations in residential and commercial properties.

Black Ant Removal specialists focus on targeting black ant populations, using methods designed to effectively remove them from indoor and outdoor spaces.

Ant Control Solutions providers offer tailored strategies to manage ant problems, including baiting and barrier treatments to protect properties.

Insect Extermination services include black ants as part of broader pest management plans, addressing multiple insect pests in the area.

Pest Management for Ants involves integrated approaches to control black ant activity and prevent re-infestation in homes and businesses.

Residential Ant Extermination specialists help homeowners in Garland and nearby areas eliminate black ants and safeguard their living spaces.

Black Ant Extermination

When selecting a professional for black ant extermination services, it’s important to consider their level of experience in handling ant infestations similar to those in Garland, TX. Experienced providers typically have a history of managing black ant issues effectively and can offer insights into the most appropriate treatment methods. It’s beneficial to review any written expectations or service descriptions provided by the pros to ensure clarity about what is included in their treatment plans. Reputable references or reviews from previous customers can also serve as valuable indicators of a contractor’s reliability and the quality of their work.

Clear communication is essential when working with local pros for pest control services. Reliable providers often outline their process and expectations in written form, helping homeowners understand what to anticipate from the treatment. This can include details about preparation, follow-up procedures, and any precautions to take afterward. Consistent and transparent communication from the service provider helps ensure that homeowners are well-informed and comfortable throughout the process, reducing potential misunderstandings or surprises.

It’s important to remember that this platform introduces homeowners to local options and does not perform the extermination work directly. Instead, it connects users with qualified local professionals who specialize in pest control services such as black ant extermination. Homeowners are encouraged to compare different options based on their experience, reputation, and communication approach to find a provider that best meets their needs. Conducting thorough research and reviewing available references can help in selecting a trusted local expert for ant control efforts.

Get a Black Ant Extermination Quote

Property owners in Garland, TX use Black Ant Extermination services for practical projects around their homes and businesses. The sections below highlight everyday jobs and straightforward project options.

Black Ant Extermination
Black Ant Extermination

Black ant extermination services are commonly sought by property owners in Garland, TX, who notice persistent ant activity around their homes or businesses. Ant invasions can occur indoors or outdoors, often due to food sources, moisture, or easy access points. Local service providers are frequently contacted to assess the situation, identify entry points, and implement targeted treatments to eliminate colonies and prevent future infestations.

Property owners may also seek black ant extermination when they observe signs of an ongoing problem, such as trails of ants, nests in yards, or ant mounds near foundations. These pests can be a nuisance and, in some cases, pose health concerns or damage to structures. Local extermination professionals are often called upon to provide effective solutions tailored to the specific needs of residences and commercial properties in the Garland area.

Get a Black Ant Extermination Quote

Why do black ants invade homes? Black ants often enter homes in search of food, water, or shelter, especially during warmer months or when their outdoor environment is disturbed.

What are common signs of black ant infestation? Signs include visible trails of ants, small piles of soil or debris near entry points, and the presence of ants in kitchens or bathrooms.

How do extermination services eliminate black ants? Local pest control professionals typically use targeted treatments such as baits, sprays, or dusts to eliminate black ants and their nests.

Are black ants dangerous to humans? Black ants are generally not harmful to humans, but they can contaminate food and become a nuisance indoors.

How can I prevent future black ant infestations? Proper sanitation, sealing entry points, and removing attractants like food debris can help reduce the likelihood of black ant invasions.

Black Ant Extermination Methods - Local service providers can recommend effective removal techniques tailored to specific infestations.

Signs of Black Ant Infestation - Professionals can identify common indicators of black ant presence around residential or commercial properties.

Preventive Black Ant Control - Experts offer advice on measures to reduce the likelihood of future black ant invasions.

Black Ant Extermination Costs - Service providers can provide information on pricing options for black ant removal services in Garland and nearby areas.

Black Ant Extermination

Considering Black Ant Extermination for a property in Garland, TX? The sections above highlight common project types, practical options, and details that often shape the scope of work.

When you are ready, use the quote form to share a few details about your project. Local pros can review the basics and respond with options that match what you have in mind.

Get a Black Ant Extermination Quote

Black Ant Extermination Quotes

Our Trusted Partners
Cantu Pest Control
Orkin
Hawx Pest Control