Local Service Overview

Get Black Ant Extermination in Plano, TX

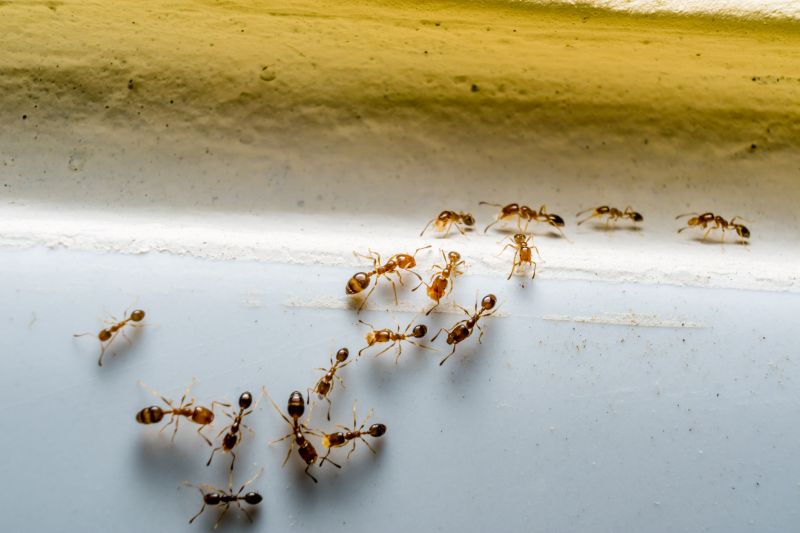
Black Ant Extermination services for property owners in Plano, TX, address ant infestations, prevent future invasions, and handle residential or commercial pest control projects.

Plano, TX

Black ant extermination services provide property owners in Plano, TX with an effective way to address ant infestations and prevent future problems. Eliminating these pests enhances comfort by reducing the presence of unwanted insects indoors and outdoors, creating a more enjoyable living or working environment. Additionally, professional extermination can improve safety by minimizing potential health risks associated with ant bites and the contamination of food or surfaces, contributing to a more secure space for residents and visitors alike.

Choosing expert ant extermination also supports the longevity and functionality of a property. By controlling ant populations, property owners can reduce damage caused by these insects, such as structural harm or interference with electrical systems. This proactive approach can lead to decreased maintenance needs and help preserve curb appeal by maintaining a clean, pest-free exterior and interior appearance. Engaging local service providers ensures tailored solutions that align with the specific needs of properties in the Plano area.

Get Black Ant Extermination Quotes

  • Ant Extermination - needed when black ants invade kitchens, pantries, or outdoor areas around homes.
  • Indoor Black Ant Control - required when black ants establish nests inside walls or beneath flooring.
  • Outdoor Black Ant Treatment - necessary to eliminate colonies in yards, gardens, or around building foundations.
  • Preventive Black Ant Services - used to protect properties in areas prone to ant infestations before they become severe.
  • Emergency Ant Extermination - sought when black ant populations rapidly grow and threaten to spread throughout a property.

Get Black Ant Extermination Quotes

Black Ant Extermination
Black Ant Extermination
Black Ant Extermination

Black ant extermination services are designed to eliminate infestations of black ants from residential and commercial properties. These services typically involve thorough inspections to identify the extent of the ant presence and determine the entry points and nesting areas. Treatment methods may include the application of targeted insecticides, baits, and barriers to prevent further intrusion. The goal is to reduce or eradicate black ant populations, thereby minimizing the nuisance and potential property damage caused by these pests.

Black ants can become a persistent problem when they invade kitchens, pantries, and other areas where food is stored or prepared. Their presence can lead to contamination of food supplies and create an unsanitary environment. Additionally, black ants tend to form large colonies, making it challenging to control the infestation without professional intervention. Extermination services help address these issues by implementing effective pest control strategies that not only eliminate current colonies but also help prevent future invasions.

Various types of properties utilize black ant extermination services, including single-family homes, apartment complexes, restaurants, and retail stores. Residential properties often seek assistance to protect food supplies and maintain a clean living environment. Commercial properties, especially those involved in food handling or hospitality, prioritize pest control to meet health standards and ensure customer satisfaction. In all cases, professional pest control providers tailor their treatments to the specific needs of each property, considering factors such as size, layout, and the severity of the infestation.

Engaging with local pest control providers for black ant extermination offers a comprehensive approach to managing these pests. These professionals use specialized techniques and products to target nests and colonies effectively. Property owners are encouraged to contact local experts to assess their specific situation and develop a customized pest management plan. Proper treatment can help restore comfort and hygiene to affected spaces, reducing the likelihood of recurring ant problems.

The overview below groups typical Black Ant Extermination projects into broad ranges so you can see how smaller, mid-sized, and larger jobs often compare in Plano, TX.

In many markets, a large share of routine jobs stays in the lower and middle ranges, while only a smaller percentage of projects moves into the highest bands when the work is more complex or site conditions are harder than average.

Initial Inspection and Treatment - The cost for a basic black ant extermination service typically ranges from $150 to $300, depending on the size of the affected area. This includes an initial inspection and a targeted treatment to eliminate visible ants.

Ongoing Pest Control Plans - Monthly or quarterly service plans for black ant control usually fall between $40 and $70 per visit. These plans often include regular treatments to prevent future infestations.

Perimeter and Exterior Treatments - Exterior treatments to create a barrier around a property generally cost between $100 and $250. This service aims to prevent ants from entering the building and is often part of a comprehensive pest management plan.

Additional Services and Follow-ups - Follow-up treatments or specialized services may range from $100 to $200 per session, depending on the extent of the infestation. Prices vary based on the complexity of the treatment required by local pros.

Actual totals will depend on details like access to the work area, the scope of the project, and the materials selected, so use these as general starting points rather than exact figures.

Get a Black Ant Extermination Quote

Black Ant Extermination services are essential for addressing infestations in residential and commercial properties, helping to eliminate these pests effectively. Local exterminators offer targeted treatments to remove black ants and prevent future outbreaks.

Ant Control solutions focus on identifying ant colonies and applying treatments that disrupt their nests, providing a long-term solution for property owners in Plano and nearby areas.

Pest Inspection services include thorough assessments to locate ant activity and determine the extent of an infestation, guiding effective treatment plans.

Integrated Pest Management approaches involve combining multiple strategies to control black ant populations while minimizing impact on the environment and non-target species.

Barrier Treatments are applied around structures to create a protective perimeter that prevents ants from entering buildings, offering ongoing protection against re-infestation.

Natural and Chemical Treatments are available to suit different preferences, with local providers offering expert advice on the most effective options for black ant removal.

Black Ant Extermination

When selecting a professional for Black Ant Extermination services, it is important to consider the experience of local contractors. Homeowners should look for providers who have a proven track record in pest control, particularly with ant infestations similar to their situation. Experienced pros are more likely to understand the behaviors of black ants, effective treatment methods, and the best practices for long-term control, which can contribute to a more efficient and successful extermination process.

Clear and written expectations are essential when working with a pest control provider. Homeowners should seek out professionals who can provide detailed descriptions of their service plans, including the methods used, the scope of work, and any necessary follow-up treatments. Having this information in writing helps ensure transparency and allows homeowners to make informed decisions about the services being offered, reducing misunderstandings and ensuring that the pest control process aligns with their needs.

Reputable references and effective communication are key factors in selecting a reliable local pest control provider. Homeowners are encouraged to ask for references or reviews from previous clients to verify the quality of service. Additionally, a professional who maintains open, clear communication can better address questions or concerns throughout the process. While the information below introduces local options, it is important to note that it connects users with independent service providers and does not perform the extermination work itself.

Get a Black Ant Extermination Quote

Property owners in Plano, TX use Black Ant Extermination services for practical projects around their homes and businesses. The sections below highlight everyday jobs and straightforward project options.

Black Ant Extermination
Black Ant Extermination

Black ant extermination services are often sought by property owners in Plano, TX when they notice persistent ant activity around their homes or businesses. Common situations include finding trails of ants along baseboards, near food sources, or inside cabinets, which can indicate an ongoing infestation. Property owners may also contact professionals after experiencing increased ant presence during warmer months or when previous DIY efforts have failed to resolve the problem effectively.

In addition to visible ant activity, property owners might seek extermination services to prevent potential damage or contamination. Ant colonies can invade structures, contaminate food supplies, and create unsanitary conditions. Local service providers can assess the extent of the infestation and recommend targeted treatment plans to help maintain a clean and pest-free environment.

Get a Black Ant Extermination Quote

Why are black ants attracted to my home? Black ants are drawn to food sources, moisture, and shelter around residential properties. They often enter homes searching for crumbs, sugary substances, or water. Identifying and removing attractants can help reduce their presence.

What are common signs of a black ant infestation? Signs include visible trails of ants, small piles of debris or dirt near entry points, and finding ants inside kitchens or bathrooms. Noticing increased activity during warmer months may also indicate an infestation.

How do pest control professionals eliminate black ants? Local service providers typically use targeted treatments such as baits, sprays, and barriers. They may also advise on sanitation practices to prevent future infestations.

Are black ant treatments safe for pets and children? Most treatments used by professionals are designed to be safe when applied properly. It’s recommended to follow any specific instructions provided by the service provider to ensure safety.

How can I prevent black ants from returning? Keeping your home clean, sealing entry points, and removing food and water sources can help prevent future black ant problems. Regular inspections by local pest control experts can also be beneficial.

Black Ant Extermination Methods - Local service providers can implement various techniques such as baiting, trapping, and chemical treatments to eliminate black ants effectively.

Preventive Black Ant Control - Professionals offer inspections and advice on sealing entry points to help prevent future ant infestations around properties.

Black Ant Identification and Assessment - Experts can identify black ant species and assess the severity of an infestation to recommend appropriate treatment options.

Customized Black Ant Extermination Plans - Service providers can develop tailored strategies based on property size and ant activity levels to address specific needs.

Black Ant Extermination

Considering Black Ant Extermination for a property in Plano, TX? The sections above highlight common project types, practical options, and details that often shape the scope of work.

When you are ready, use the quote form to share a few details about your project. Local pros can review the basics and respond with options that match what you have in mind.

Get a Black Ant Extermination Quote

Black Ant Extermination Quotes

Our Trusted Partners
Cantu Pest Control
Orkin
Hawx Pest Control